(VAN) With a growth of 359% in the first eight months compared to the same period last year, tilapia exports could reach the aforementioned milestone.
Tilapia is among the fastest-growing items in Vietnam’s seafood exports. According to Nguyen Thi Thu Hang, a pangasius market expert from the Vietnam Association of Seafood Exporters and Producers (VASEP), in the first eight months of this year, tilapia exports, including red tilapia, reached over 63 million USD, up 174% compared to the same period last year. This figure surpasses Vietnam’s total tilapia export value over the past five years (2020–2024).
During the same eight-month period, tilapia exports experienced triple-digit growth, reaching 52 million USD, a 359% increase year-on-year. In contrast, red tilapia exports declined slightly by 1%, totaling 11 million USD.

Farmers raising red tilapia in the Hau River. Photo: Son Trang.
Over the past eight months, the United States has emerged as the largest market for Vietnamese tilapia, accounting for as much as 62% of the country’s total tilapia export value. Vietnam has now become the second-largest supplier of tilapia to the U.S., trailing only behind China. Within this market, the U.S. absorbs around 70% of Vietnam’s tilapia exports and 25% of red tilapia exports, highlighting its critical role for the industry.
The U.S. continues to be the world’s largest importer of tilapia, and demand is on an upward trajectory. Tilapia has overtaken other white-flesh fish, such as cod and catfish, to become the most preferred choice among American consumers, with frozen tilapia fillets being the product most widely consumed.
Data from the International Trade Centre (ITC) show that in the first seven months of this year, U.S. imports of white-flesh fish exceeded 1.1 billion USD, representing an 8% increase compared to the same period in 2024. Within this category, frozen tilapia fillets alone reached 262 million USD, up 19% year-on-year, accounting for nearly a quarter (23%) of all white-flesh fish imports.
Historically, China has been the largest supplier of tilapia to the U.S., exporting 368 million USD worth of mainly tilapia in the first five months of this year. However, high U.S. tariffs on Chinese imports, including a 55% tariff on tilapia, have created significant challenges for Chinese exporters, reducing their competitiveness. This situation presents a strong opportunity for Vietnam to expand its tilapia exports to the U.S., further strengthening its position in this key market.

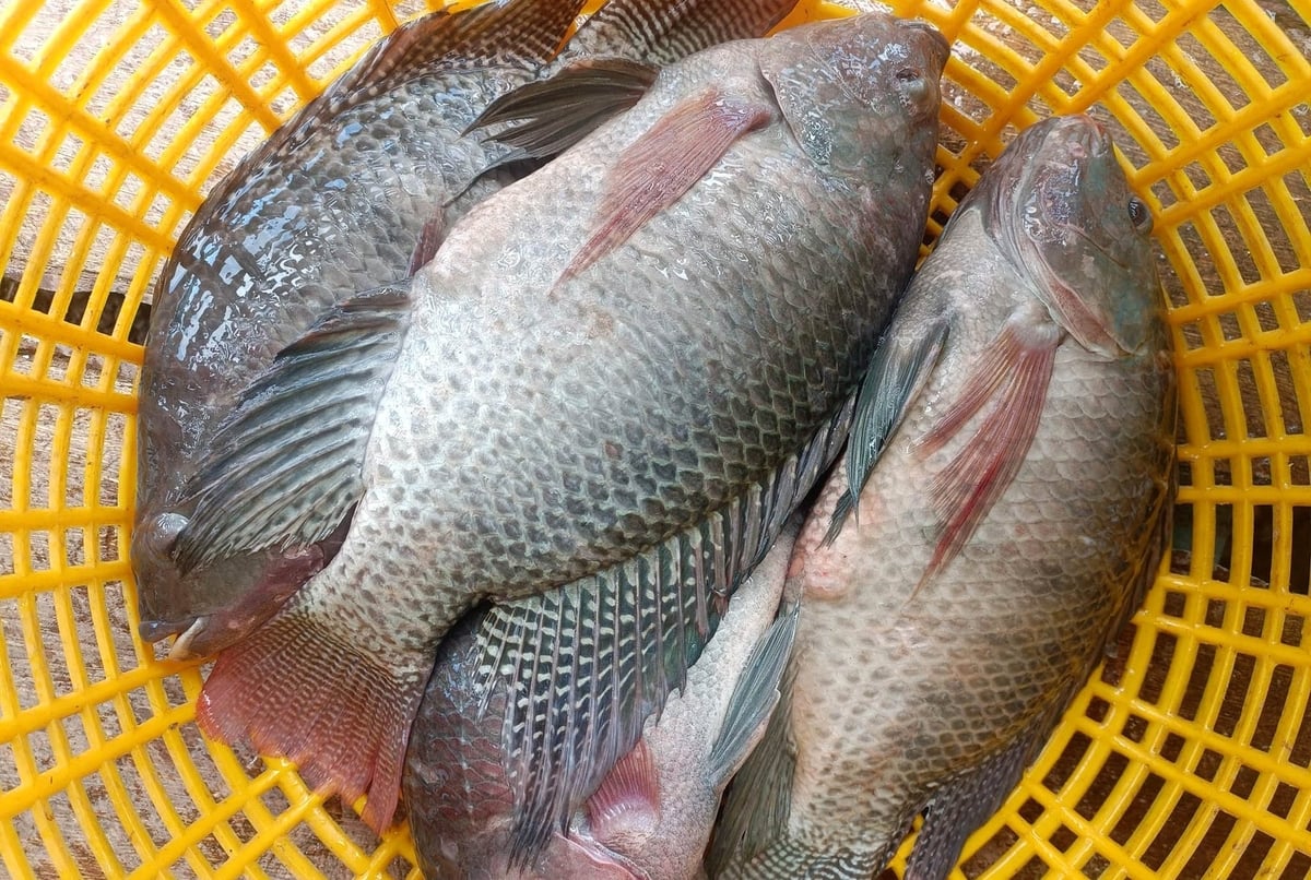
Freshly harvested tilapia. Photo: Son Trang.
Seeing the great potential of tilapia, numerous Vietnamese seafood companies, traditionally associated with flagship products like shrimp and tra fish, are now expanding into tilapia processing for export markets. Tai Kim Anh Seafood Processing Joint Stock Company (Can Tho), which has long specialized in exporting shrimp, has invested in a dedicated tilapia processing facility at An Nghiep Industrial Park. The plant currently operates with an initial capacity of 200 tons per day and plans to increase production to 500 tons per day in the near future.
To secure a consistent supply of high-quality tilapia for the plant, Tai Kim Anh is actively working with local farmers to develop farming areas covering approximately 700 hectares. A notable feature of this initiative is that the tilapia are raised in brackish water, which, according to Mr. Do Ngoc Tai, General Director of Tai Kim Anh Seafood Processing JSC, results in a sweeter and more aromatic fish compared with tilapia raised in purely freshwater conditions. This approach not only ensures quality for export but also supports sustainable farming practices in the region.
According to VASEP, a number of other companies are also testing tilapia farming in brackish water with salinity levels ranging from 10 to 20 parts per thousand. Early results have been highly encouraging, as the texture and flavor of the fish have been very well received by international buyers. This success points to considerable potential for expanding tilapia production in the brackish water areas along the Mekong Delta coast, creating new opportunities for the aquaculture sector.
Currently, Vietnam has not yet become a leading global supplier of tilapia, but the country is well positioned to strengthen and expand this industry, which would help diversify its seafood export offerings. According to IMARC Group, the global tilapia market was valued at approximately USD 8.9 billion in 2024 and is expected to grow to USD 11.48 billion by 2033, representing a compound annual growth rate (CAGR) of 2.84% from 2025 to 2033.
Agriculture News | Agri Products Price

